Research News Published on 2015/12/22 Auroral mystery solved: sudden bursts caused by swirling charged particles
Research News Published on 2015/12/18 Fish oil helps burn fat by transforming fat-storage cells into fat-burning cells
Research News Published on 2015/12/01 A new approach to El Niño prediction -- Towards more accurate forecasts beyond boreal spring
Research News Published on 2015/11/27 Stopping ovarian cancer in its tracks: an antibody may help patients heal themselves
Research News Published on 2015/11/20 The search for happiness: using MRI to find where happiness happens
Research News Published on 2015/09/18 Seen Once, Never Forgotten --You don't have to be human to like a good horror flick, Kyoto scientists show--
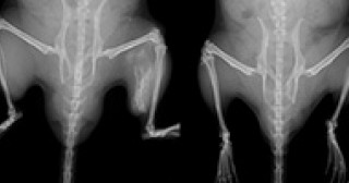
Research News Published on 2015/09/17 Therapeutic effects of ustekinumab (anti-IL-12/23 p40 monoclonal antibody) on Takayasu arteritis